[ 목차 ]
실시간 태풍경로 현재위치
태풍 시즌이 다가오면서 실시간 태풍경로 현재위치를 정확히 파악하는 것이 그 어느 때보다 중요해졌습니다. 2024년 한반도에 영향을 준 태풍만 8개로, 여행 계획을 세우는 분들에게는 필수 정보가 되었습니다.
지금 정확한 태풍 추적 방법을 알아두지 않으면 갑작스러운 여행 취소나 안전사고의 위험에 노출될 수 있습니다.
기상청 날씨누리 - 국내 최고 신뢰도의 공식 정보
기상청 날씨누리(weather.go.kr)는 실시간 태풍경로 현재위치를 확인할 수 있는 가장 신뢰할 만한 공식 사이트입니다. 메인 화면에서 '특보·예보' 메뉴를 클릭하면 태풍 정보를 실시간으로 확인할 수 있습니다.
특히 태풍 경로 예측 모델은 3시간마다 업데이트되며, 72시간 후까지의 예상 경로를 제공합니다. 태풍의 중심기압, 최대풍속, 강풍반경까지 상세히 표시되어 여행지 안전성을 정확히 판단할 수 있습니다.
윈디닷컴(Windy.com) - 세계적 수준의 시각적 정보
윈디닷컴은 실시간 태풍경로 현재위치를 가장 직관적으로 보여주는 해외 사이트입니다. 애니메이션으로 바람의 흐름을 시각화하여 태풍의 움직임을 한눈에 파악할 수 있습니다.
특히 ECMWF, GFS 등 세계 주요 기상 모델을 비교해서 볼 수 있어 예측 정확도가 높습니다. 모바일 앱도 제공되어 여행 중에도 편리하게 확인 가능합니다.
웨더아이 - 한국형 맞춤 특화 서비스



웨더아이(weatheri.co.kr)의 특별기상현상 페이지는 태풍 정보를 한국 상황에 맞게 특화한 서비스입니다. 태풍이 한반도에 미치는 영향을 지역별로 세분화하여 제공합니다.
서울, 부산, 제주 등 주요 여행지별 태풍 영향도를 5단계로 나누어 표시하며, 항공편 운항 정보와 연계하여 여행 계획 수정에 도움을 줍니다.
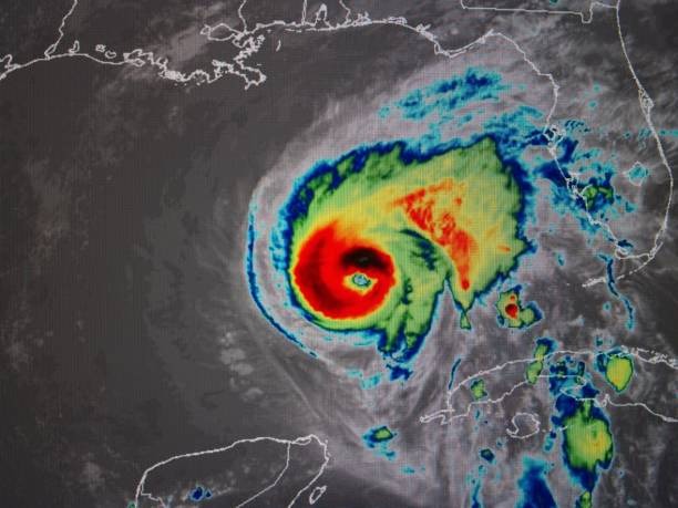
줌어스(Zoom.earth) - 위성영상 실시간 추적
줌어스는 실시간 위성영상을 통해 태풍의 현재 모습을 생생하게 보여줍니다. 구름의 움직임과 태풍 눈의 형태까지 확인할 수 있어 태풍의 세기와 발달 상황을 직관적으로 파악할 수 있습니다.
특히 타임랩스 기능을 통해 최근 24시간 동안의 태풍 이동 경로를 애니메이션으로 볼 수 있어 향후 진로 예측에 도움이 됩니다.
날씨 CCTV - 현장 상황 실시간 확인
다음 날씨 CCTV는 전국 주요 지점의 실시간 영상을 제공하여 태풍의 실제 영향을 눈으로 직접 확인할 수 있습니다. 해안가, 산간지역, 도심 등 다양한 지역의 CCTV를 통해 현재 날씨 상황을 생생하게 파악할 수 있습니다.
효과적인 태풍 정보 활용 전략
실시간 태풍경로 현재위치를 효과적으로 활용하려면 여러 사이트를 종합적으로 비교해야 합니다. 기상청 공식 정보를 기본으로 하되, 윈디닷컴의 시각적 정보와 웨더아이의 지역별 특화 정보를 함께 참고하는 것이 좋습니다.
특히 여행 계획이 있다면 출발 3일 전부터 매일 2-3회 정기적으로 확인하며, 태풍 경보 발령 시에는 1시간마다 업데이트되는 정보를 체크해야 합니다.



사용자 후기
김민수(가명, 30대 직장인)님은 "작년 제주도 여행 때 이 방법들을 활용해서 태풍을 피해 무사히 여행을 마쳤습니다. 특히 윈디닷컴의 애니메이션 기능이 정말 유용했고, 기상청 정보와 비교하면서 정확한 판단을 할 수 있었습니다."라고 후기를 남겼습니다.
박영희(가명, 40대 주부)님은 "가족 여행을 준비하면서 3일 전부터 매일 확인했는데, 덕분에 태풍 경로를 피해 일정을 조정할 수 있었습니다. 웨더아이의 지역별 정보가 특히 도움이 되었습니다."라고 전했습니다.
이준호(가명, 20대 대학생)님은 "해외여행 계획 때문에 태풍 정보를 찾아보던 중 이 방법들을 알게 되었습니다. 줌어스의 위성영상으로 실제 태풍 모습을 보니 더 신뢰할 수 있었고, 결국 여행 일정을 1주일 미뤄서 안전하게 다녀올 수 있었습니다."라고 만족감을 표현했습니다.



결론 및 요약
실시간 태풍경로 현재위치를 정확히 파악하는 것은 안전한 여행의 첫걸음입니다.
기상청 날씨누리의 공식 정보를 기본으로 하되, 윈디닷컴의 시각적 정보, 웨더아이의 지역별 특화 서비스, 줌어스의 위성영상, 날씨 CCTV의 현장 상황을 종합적으로 활용하시기 바랍니다.
여행 계획이 있으시다면 출발 3일 전부터 정기적으로 확인하고, 태풍 경보 발령 시에는 더욱 자주 업데이트 상황을 체크하세요. 이렇게 준비하면 태풍으로 인한 피해를 최소화하고 안전하고 즐거운 여행을 만들어갈 수 있을 것입니다.



자주 하는 질문 (Q&A)
Q: 태풍 정보는 얼마나 자주 확인해야 하나요?
A: 평상시에는 하루 2-3회, 태풍 경보 발령 시에는 1-2시간마다 확인하는 것이 좋습니다. 특히 여행 계획이 있다면 출발 3일 전부터 정기적으로 체크하세요.
Q: 어떤 사이트가 가장 정확한가요?
A: 기상청 날씨누리가 공식 정보로 가장 신뢰할 만합니다. 하지만 윈디닷컴과 함께 비교해서 보면 더욱 정확한 판단을 할 수 있습니다.
Q: 해외여행 시에는 어떻게 확인해야 하나요?
A: 윈디닷컴이나 줌어스 같은 글로벌 서비스를 활용하세요. 목적지 국가의 기상청 정보도 함께 확인하는 것이 좋습니다.
Q: 모바일에서도 쉽게 확인할 수 있나요?
A: 네, 모든 사이트가 모바일 최적화되어 있으며, 윈디닷컴은 전용 앱도 제공합니다. 날씨 CCTV는 다음 날씨 앱에서 확인 가능합니다.
Q: 태풍 예보는 얼마나 정확한가요?
A: 72시간 이내 예보는 80% 이상의 정확도를 보이며, 24시간 이내는 90% 이상입니다. 하지만 자연현상이므로 지속적인 모니터링이 필요합니다.



'일상생활 정보' 카테고리의 다른 글
| 실시간 태풍 예상경로 - 최신 사이트 5곳 총정리 (0) | 2025.06.14 |
|---|---|
| 실시간 태풍경로 위성사진 - 실시간 확인 TOP 5 (5) | 2025.06.14 |
| 태풍경로 위성사진 - 기상청 실시간 추적하기 (0) | 2025.06.13 |
| 태풍경로 실시간 - 조회 방법 (4) | 2025.06.13 |
| 태풍경로 현재위치 - 실시간 추적법 (0) | 2025.06.13 |
